Hurricane Laura – Its Wind and Rain Impacts on North Louisiana
A Preliminary Report
By: Don Wheeler, Meteorologist
Dangerous category 4 Hurricane Laura made landfall near Cameron, Louisiana at 1 AM, Thursday, August 27, 2020. The storm was the strongest to strike southwest Louisiana in recorded history eclipsing Hurricane Audrey in 1957 (category 3) and Hurricane Rita in 2005 (category 3). Maximum sustained winds at the time of landfall were 150 mph with higher gusts, only seven miles per hour shy of category 5 status. At the time of landfall hurricane force winds extended outward 60 miles from the center and tropical storm force winds extended outward up to 205 miles from the center.
Laura had her origins south of the Cape Verde Islands in the far eastern Atlantic as a tropical wave on August 16. The disturbance made its way westward and was upgraded to a tropical depression on August 20 at 0000 UTC 1035 miles ESE of the northern Leeward Islands. The system was upgraded to Tropical Storm Laura at 1305 UTC on August 21 while 230 miles ESE of the northern Leeward Islands with maximum sustained winds of 45 mph. Laura continued on a westward track across the northern Leeward Islands then just south of Puerto Rico and across the Dominican Republic. After a brief stint over water between the Dominican Republic and Cuba, Laura once again battled land skirting the southern coast of Cuba. The prolonged interaction with land kept Laura from intensifying sooner over the warm waters of the Caribbean.
All indications were showing rapid intensification once Laura emerged off the western tip of Cuba and into the warm waters of the southeastern Gulf of Mexico. Most computer models, as well as official forecast intensities kept Laura as a category 2 or 3 storm upon landfall with 100 mph sustained winds. Once the storm emerged from Cuba and entered the gulf, rapid organization began as well as the expected intensification. With each model output, forecast intensity levels continued to increase. Throughout the day Wednesday, August 26, maximum intensity grew from 120 mph as of the 4AM forecast discussion to 150 mph with the 4PM forecast discussion.
Laura was upgraded to hurricane status at 1200 UTC on August 25 with 75 mph sustained winds 145 miles NW of the western tip of Cuba or 625 miles SE of Lake Charles, Louisiana. The forecast was for continued intensification while moving to the west-northwest. Laura quickly attained major hurricane status at 0000 UTC August 26 with 115 mph sustained winds while 280 miles SSE of Lake Charles. At 1800 UTC, the storm was upgraded to category 4 with 140 mph sustained winds 200 miles SSE of Lake Charles. Laura peaked with winds of 150 mph at 0000 UTC (August 27) or 7PM CDT (August 26) while 120 miles S of Lake Charles. She would maintain this intensity until landfall.
Once making landfall, Laura continued northward paralleling the Texas/Louisiana border to just west of Alexandria, then began a sight northeast turn. As with any landfalling tropical system, Laura also began to weaken and was still a category 2 hurricane with 100 mph sustained winds while 20 miles N of Ft. Polk. Laura maintained hurricane status up until the 1600 UTC/11AM CDT update when it was 50 miles ESE of Shreveport moving N at 15 mph. Laura was then downgraded to a tropical storm with maximum winds of 70 mph as of 12PM CDT (1700 UTC) passing between Minden and Ruston before moving into Arkansas as a tropical storm. Laura was finally downgraded to a tropical depression while 30 miles NNE of Little Rock, Arkansas with 35 mph sustained winds at 10PM, Thursday, August 27.
While it is not unheard of for strong winds to penetrate deep inland with landfalling hurricanes, it is somewhat uncommon. Certain conditions must be present in order for winds to persist a few hundred miles inland.
- Strong hurricane of category 3 or higher
- Fast forward speed of the storm
- Was the storm in an intensification cycle upon landfall
- Surrounding environment with strong pressure gradient present
- Direction of motion perpendicular to the landfalling coastline
Some noted local hurricanes that displayed strong winds well inland were hurricanes Katrina (2005), Camille (1969), and Betsy (1965). Katrina was still a hurricane 75 miles SE of Jackson near Laurel, Mississippi.
Initially, tropical storm warnings were issued for portions of northwest Louisiana to the Arkansas border with a hurricane warning further south to include Desoto, Red River, Natchitoches, and Sabine Parishes. Hurricane warnings were eventually extended northward to the Arkansas border to include Claiborne, Lincoln, Jackson Winn, Grant, Webster, Bossier, and Caddo. Tropical storm warnings were issued well into southwest and south-central Arkansas. Issuance of tropical warnings this far inland is somewhat rare and even more rare is the level of those warnings. This was the first time that tropical storm warnings have been issued for Arkansas.
As Laura moved inland, windspeeds began to drop. Tropical storm force winds were widespread across all of north Louisiana and into south Arkansas with some gusts approaching hurricane force. Given the strong wind gusts over a long duration, some 3-5 hours, extensive tree and powerline damage occurred. Below are select peak gusts measured in Louisiana. Note that some wind recording equipment failed due to power outages before the strongest winds arrived at a particular location.
Lake Charles Airport 133 mph
Calcasieu Pass (Cameron) 127 mph
Cameron (Cameron) 116 mph
Alexandria (Rapides) 86 mph
DeRidder (Vernon) 82 mph
Lacassine (Jefferson Davis) 85 mph
New Iberia Acadiana Regional (Iberia) 76 mph
Gum Springs (Winn) 70 mph
Shreveport Regional airport 66 mph
Natchitoches Airport 66 mph
Monroe Airport 62 mph
Lakeshore/Swartz (Ouachita) 61 mph
Benton (Bossier) 61 mph
Mansfield (DeSoto) 59 mph
Shreveport Downtown 58 mph
Red River (Bossier) 58 mph
El Dorado Goodwin Field (Union, Arkansas) 57 mph
Catahoula (Grant) 56 mph
Barksdale AFB 55 mph
Because of the fast movement of Laura, rainfall totals were respectable for a tropical system. Along and to the right of the path, totals were generally in the 4 to 8 inch range. Little if any data is available for the extreme southwest portion of the state, however, 8.32” was the highest total in Church Point just to the northwest of Lafayette. Totals tapered off both east and west of the storm track.
NOTE: This is a preliminary report and any values are subject to change based upon additional surveys and information.
Sources
- National Hurricane Center
- National Weather Service – Shreveport, Louisiana
- National Weather Service – Lake Charles, Louisiana
- Bayou State Weather, LLC – Monroe, Louisiana
- CoCoRaHS Network (rainfall totals)
Supporting Images
Satellite

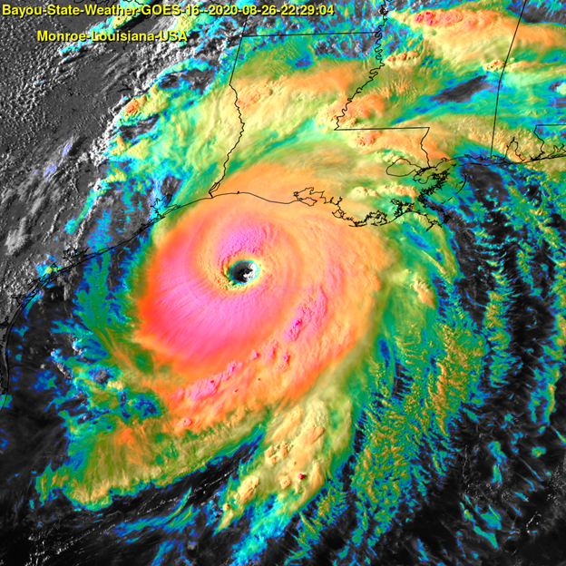
Category 4 Hurricane Laura at Landfall – 150mph Sustained Winds

Hurricane Laura Entering North Louisiana

Enhanced RGB Image

Category 4 Visible

Category 4 Enhanced RGB

Closeup Visible – Category 4
Path


Radar

Landfall – 1AM CDT

Center of Hurricane Laura Just Northwest of Alexandria at 9:50 AM CDT
Rainfall Totals




Wind


Note: Power outage prevented a continuous trace with the higher gusts. Chart was periodically advanced manually.

Barometer Tracing

Monroe, Louisiana (Lakeshore/Swartz)